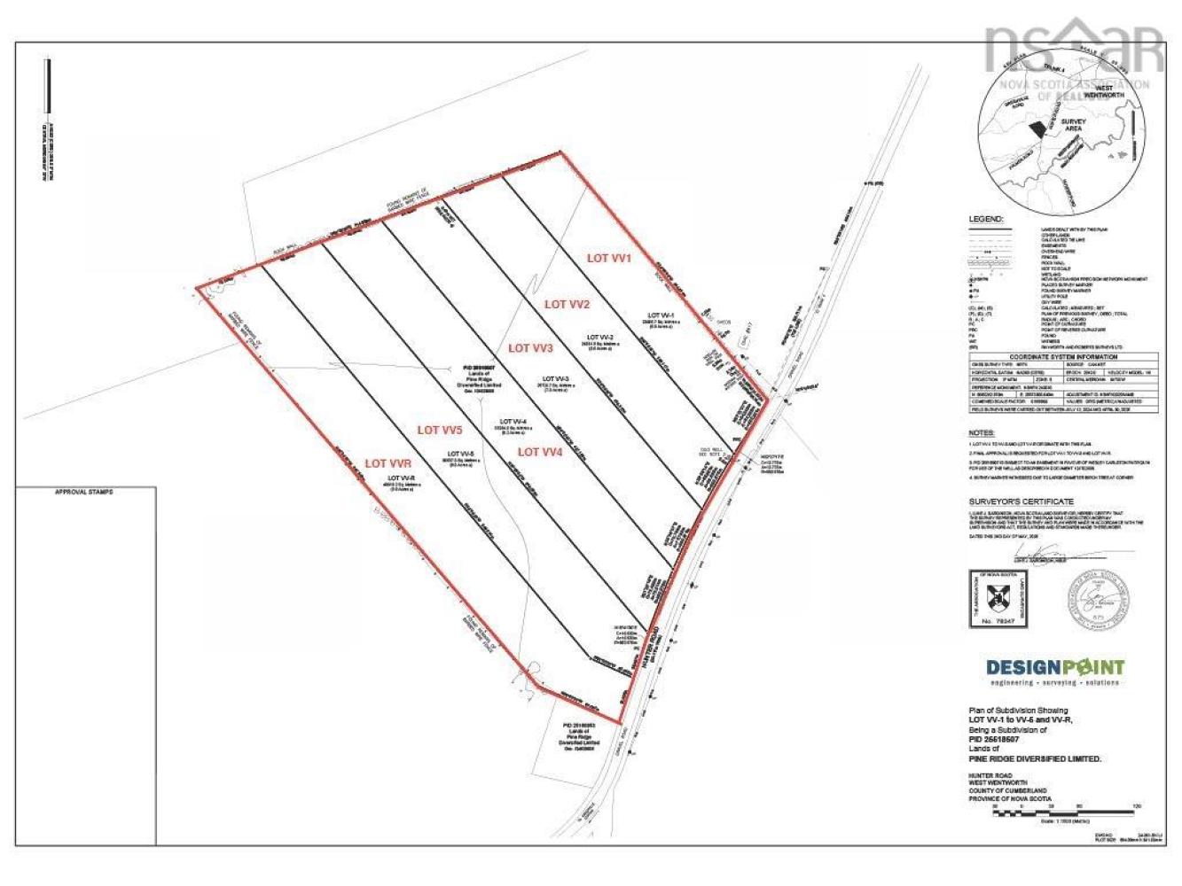
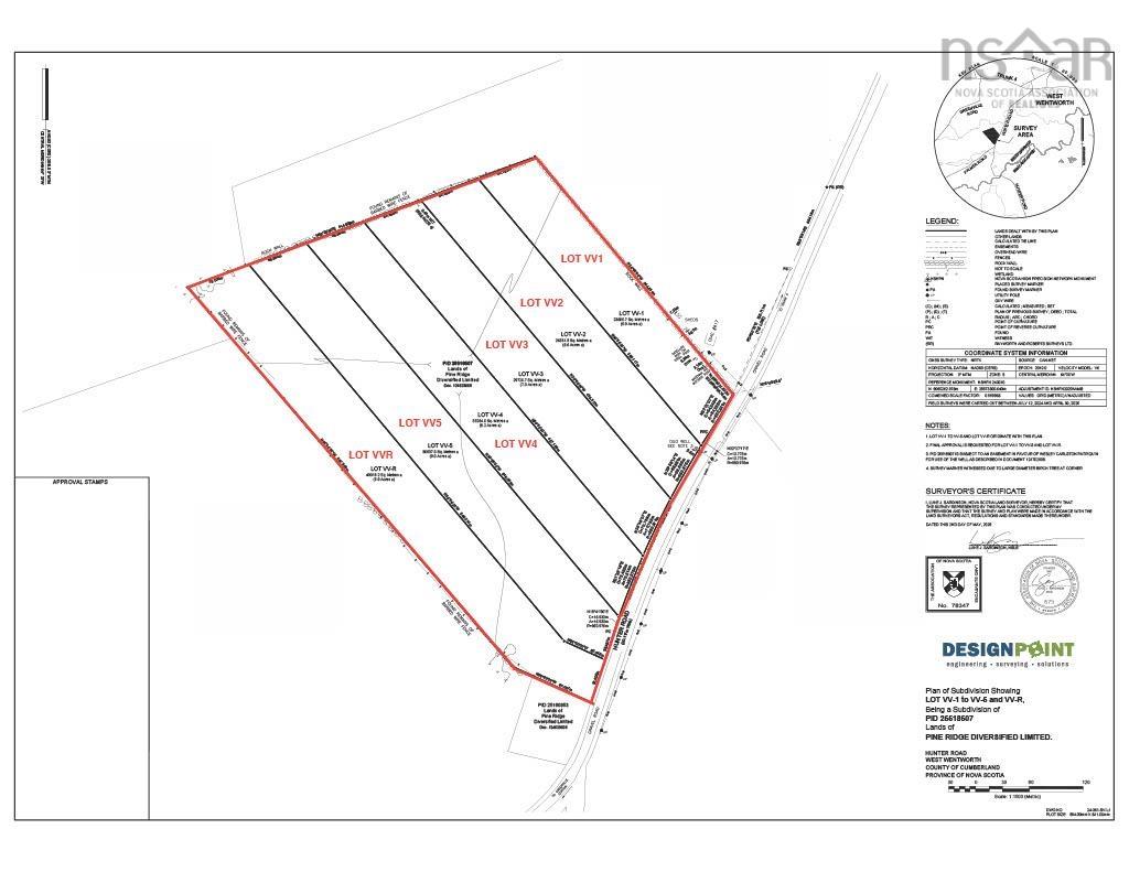
VV5 Lot 5 Hunter Road
9.0 acres of calm, quiet and spectacular visuals of the nature surround - Welcome to Wentworth Valley View Lot 5. Directly on Hunter Road, a fully maintained Cumberland County road, gives you easy access for a driveway and option to add power from the electrical grid already there. This property comes complete with new survey and blazed lines as well as a current perc test. The back lot line includes old growth & mature trees including some apple trees and maple. What's so truly incredible are the vast views of the Wentworth Valley and a direct sightline to Ski Wentworth, which is under 10 minutes drive! Another bonus is you're not too far to access Crown land and the Wallace River. As you know, Wentworth is a 4 season hot spot for the adventurer or for those that just want to put their feet up by a fire and soak in the surrounding nature soundscapes. You can have access to fly fishing, skiing, snowboarding, snowmobiling, mountain biking, hiking, kayaking and camping - it really is a great opportunity to build and live out your dreams in such a serene environment. The price includes HST! Call your Realtor for more info and get set up for the seasons to come.
Building details
Land Details